Business Community

With Trailside apartments, high-density development lands in Canterwood’s front yard

Posted on October 8th, 2025 By:

When America’s first transcontinental railroad reached completion in 1869, throngs converged on Promentory, Utah, to cheer Central Pacific Railroad president Leland Stanford hammering in a final, 17.6-karat gold spike.

After decades of development, Gig Harbor’s Canterwood luxury gated community is about to be finished. Its “Golden Spike” is Trailside, a 120-unit, six-building apartment complex that Rush Companies is working toward building just outside its gates, on the corner of Canterwood Boulevard and Baker Way.

But rather than celebrating Trailside as Canterwood’s finishing touch, some homeowners there and in other nearby upscale subdivisions are expressing concern. Their situation shows that living in a million-dollar-plus house, within an exclusive golf course community, provides only limited immunity to anxiety over growth, and to the possible negative effects of living amid swelling numbers of people, buildings and cars.

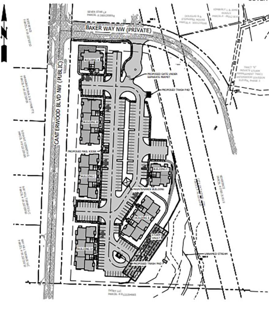
A site plan submitted by Rush Companies for its Trailside apartment complex at the southeast corner of Canterwood Boulevard and Baker Way. The plan calls for a mix of 120 studio, 1-, 2- and 3-bedroom apartment units in six buildings.

Traffic concerns

Traffic tops neighbors’ list of concerns, especially when they view Trailside in combination with Rush’s proposed Gig Harbor North Annex apartment complex just a half-mile south on Canterwood Boulevard. Rush in September filed a preliminary short plat application for Gig Harbor North Annex, indicating that it first plans to build 108 mid-market apartments there, followed later by medical offices or an assisted living facility (or just more housing).

Neighbors say traffic in the Canterwood Boulevard/Borgen Boulevard roundabout is congested enough without adding hundreds of new drivers. Don’t get them started about traffic on nearby Highway 16.

Other concerns include security, roadside litter, light pollution, and Trailside’s impact on shared resources such as public schools and Canterwood’s water system.

Critics also take issue with what they say is Rush’s stealthiness in pursuing the project. The company has been working toward creating apartments on Trailside’s 5.85 acre site for more than a year after buying it out of receivership in June 2024.

Trailside was little-known until recently

Since then, no signs have appeared on the property announcing Rush Companies’ planned development. No hearings or public meetings have taken place, and the company has not asked people living nearby for their input. Trailside appears to have become widely-known within the Canterwood only in late August, through a resident’s Facebook posts about it in the Canterwood Neighbors group.

“If they are going to use public roads, electricity, gas, sewer etc., and services of public employees to support this project, they ought to hold public forums to inform the public about their plans,” said Vic Barry, a retired dentist who lives in Canterwood.

Rush declined to comment or answer questions about Trailside.

Actually, there were hearings on the property’s development — but they took place in 2005. That’s when the Pierce County Hearing Examiner approved a preliminary plat and a major amendment to the Canterwood master plan that allowed commercial and business uses on the land that Rush Companies would later acquire.

The Peninsula Advisory Commission, a volunteer body responsible for making land use recommendations to Pierce County, also heard, considered and unanimously recommended approving the preliminary plat, according to county records. The plat was recorded with the county in 2009.

The Trailside development site, like all of Canterwood, lies in unincorporated Pierce County. The city of Gig Harbor – the tan-colored area in this illustration – begins just south of the project site, and also across Canterwood Boulevard to the west. Source: Trailside permitting documents.

Platting complete

Platting is the process by which raw land is subdivided into lots, streets and public areas. It can take months or even years to complete. The fact that this has already been wrapped up for Trailside explains why that project is likely to break ground sooner than Gig Harbor North Annex. Rush filed the preliminary short plat application for Gig Harbor North Annex less than a month ago. For Trailside, platting is already complete.

Trailside is outside Canterwood’s gates but is part of land that was purchased and zoned MPC (master-planned community) and intended to be part of that community’s growth. The plat that includes Trailside also contains land that is inside those gates.

According to county records, Rush is now well into the site development phase of Trailside, which includes finalizing its traffic impact analysis, State Environmental Protection Act (SEPA) compliance, geotechnical review, and stormwater management planning, among other items. In August, Rush began applying for construction, plumbing and mechanical permits for the six planned buildings.

Canterwood, Pierce County’s oldest master-planned community, is defined by land with MPC zoning, shown here surrounded by a solid blue line; the red area within the MPC zone is the Trailside development site. The yellow dashed line shows the city of Gig Harbor’s boundaries. Map by Tony De Paul, GIS specialist, Pierce County Assessor-Treasurer.

Outside city limits

Trailside is in unincorporated Pierce County. But it is within the city of Gig Harbor’s Urban Growth Area, or UGA. In most Washington counties (including Pierce), UGAs are required by state law to exist outside cities, to provide locations for higher-density development than is allowed on rural land.

Being in the UGA enabled Trailside to gain a critical sewer connection from the city of Gig Harbor. The city is “obligated to allow connection to the city’s sewer system, when requested and if capacity is available, to property owners within the urban growth area,” said Jeff Langhelm, public works director.

Despite Trailside’s early platting, development came slowly to the site.

Pierce County records show re-platting efforts began in 2017, with the goal of allowing residential development on the property. Four years later, in 2021, the site was still designated for commercial/business use, and county officials met with a real estate entrepreneur hoping to build an 81,750-square-foot mini-storage facility there.

The county foresaw neighbors’ possible objections to this plan and urged the developer to reach out to the community.

“I suspect you will receive some push back, from Canterwood residents, regarding having storage at the entrance to Canterwood,” county planner Ty Booth wrote to the applicant. You “may want to consider discussing with the Canterwood HOA.  At a minimum, you should verify that the proposal does not conflict with any Canterwood CCRs,” or covenants, conditions and restrictions, if any apply to the site.

Previous plans for 21 homes, 51 townhomes

It’s unclear what happened to the mini-storage plan, but records from later that year show the property’s owner, Canterwood Commercial LLC, proposing to build 21 single-family homes there. (The master-planned community’s developer, Canterwood Development Company LLC, spun off Canterwood Commercial in 2004 to focus on several commercial parcels. The two firms reportedly share much common ownership.)

In August 2022, Pierce County mailed a notice of application to nearby residents, informing them of a proposed plat alteration that would allow residential development at the site. The county requires a such notice to be mailed to property owners of record within a radius of 300 feet, but not less than two parcels deep, around the exterior boundaries of the subject property.

Based on this requirement, the mailing appears to have gone out to no more than 15 residents in and near Canterwood. A yellow sign appeared on the property at this time, informing the public of the proposed change (it is unclear how long the sign remained at the site).

In July 2024, Pierce County finalized the plat alteration. In the years leading up this change, various proposals for the property were filed with the county, including the plan for 21 single-family houses, and another for 51 townhomes.

But Canterwood Commercial had become mired in a lawsuit with another company over the property (Canterwood Commercial describes its situation with the other party as a partnership gone wrong; Pierce County Assessor’s Office records show ownership of the property passing to the partner in 2021). The parcels wound up in receivership, from which CW Baker Way LLC, an entity owned or controlled by Rush, bought them in June 2024 for $2.61 million.

Some Canterwood residents say the 16 months that have passed since Rush bought the land have given the developer plenty of time to broach the subject of Trailside with its neighbors.

Rush is “definitely a little paranoid about letting the cat out of the bag about what they’re doing there, because they’re going to get some negative feedback,” Barry said.

The Trailside apartments are planned near the intersection of Baker Way and Canterwood Boulevard. Photo by Ted Kenney

Neighbors want information

He described inquiring about Trailside via Rush’s website at the end of September and receiving back only a form response saying “Thank you for Contacting The Rush Companies!”

Later, Barry went to Rush’s offices on Wollochet Drive, hoping to get details on the project. A locked door greeted him. “I waited awhile. There was nobody at the front desk,” which he could see through the window, Barry said. Eventually he returned home.

The Trailside project “is a Tier 1 application type, as it is permitted in the zone outright and no public hearing is required,” said Christina Rohila, public information specialist with Pierce County Planning & Public Works.

“While some may view one project type being more impactful than another, notice requirements increase based on whether the review is administrative, administrative with public notice or requires a public hearing. The zoning code recognizes [Rush’s Trailside] as an outright permitted use, thus only triggering building permits, which are administrative,” she said.

The law may not require hearings on Trailside, but Rush should have reached out to the community about its plans, said John Krawczyk, HOA president at McCormick Ridge, a 50-unit condominium development on the west side of Canterwood Boulevard.

“The developer has done a very good job of keeping it secret,” he said.

Trailside a potential pain in the side on nearby roads

Krawczyk echoed many other residents’ concerns about the traffic that 120 new apartments will spawn onto Canterwood Boulevard. Drivers “rarely” adhere to the 35 mile per hour limit, while the roundabout at the junction with Borgen Boulevard has “significant congestion issues,” he said. Neighbors also decried Trailside’s and Gig Harbor North Annex’s potential contribution to congestion on nearby Highway 16.

The area has “grown faster than the infrastructure,” said Doug Smith, a Canterwood resident since 2006. “Everybody wants to join this party. What are you going to do about the roundabout?”

Smith lives on a cul-de-sac inside the development, close to the Baker Way gate.  He has already faced the problem of halogen lights in the St. Anthony Hospital parking lot shining directly at his property, necessitating conversations with the hospital’s facilities manager, he said. He wonders whether Trailside’s lights will bring the same issue.

School bus pickup could grow chaotic with Trailside there, Smith said. Baker Way runs a short distance between its stop sign at Canterwood Boulevard and the Baker Way gate to the east. Right now, school buses transit this road, passing the point where Trailside’s driveway is slated to intersect with Baker Way. After picking up or dropping off kids, the buses turn around in a gravelly spot near the gate, he said.

What will be the effect, Smith asked, of all the children from young families in the 120 new households walking to catch the bus, at the same time drivers are coming and going from the Trailside complex, all piled on top of traffic from within Canterwood entering and exiting through the gate?

Water system

Brian Thesing of Canterwood expressed concern over adding hundreds of new users onto shared services, particularly the Canterwood Water System. He noted that residents previously experienced low pressure, almost to the point of needing rationing for lawn watering.

Peninsula Light Company, owner of Canterwood Water System, solved the issue by building a new reservoir for the system, Thesing said. But he wondered, could the 120 new apartments take up all the slack that was added?

Kevin McAlister, water operations manager for PenLight, confirmed Canterwood Water System will serve  Trailside. He said the water shortage in the summer of 2022 was a one-time event, caused by a well failure (Canterwood’s water system contains seven wells, three reservoirs and three booster pump stations). Since then, PenLight replaced the well and built an additional, long-planned-for 178,000-gallon reservoir for Canterwood.

McAlister said Canterwood Water System engineers modeled the system’s flow under many scenarios, including peak demand periods with Trailside’s 120 apartments attached. “It modeled out fine,” he said.

Neighbors reach out to Rush

Some in Canterwood take a more sanguine view of Trailside. Jerome Geissler, president of Canterwood’s HOA, said he viewed development of the property at Canterwood Boulevard and Baker Way as “inevitable,” based on the pace of growth in past decades west of the Tacoma Narrows Bridge.

“I wouldn’t imagine that property would stay a wooded lot forever,” he said. “The expansion is moving further and further out” across the peninsula. The only way to prevent building on Trailside’s land would be to own the property, and “obviously we don’t.”

Geissler, a retired electrical contractor, and said he heard about Rush’s project from industry contacts five or six months ago (though he did not know the project’s size at the time).

A group of Canterwood residents has formed to try to act as a go-between for the homeowner’s association and Rush Companies, to learn more about Trailside and help determine how the two can be good neighbors, he said.

Some Canterwood residents are fans of Rush Companies. Even Vic Barry, the retired dentist who drove to the company’s offices seeking information about Trailside, said he was “somewhat relieved” to learn that Rush was the developer at Trailside, rather than some other company.

“They produce a wonderful product,” said Barry, who noted he has toured Rush-built properties when shopping for a home in Gig Harbor.

Final development for Canterwood

Whatever Trailside’s effects, neighbors can rest easy that this will probably be the last influx of residents caused by development in Canterwood. Except for a few scattered, unbuilt residential lots — some of them owned by their neighbors, to lock in privacy — no land remains in the MPC-zoned area on which to build.

Based on a comparison of maps showing parcels just north of Gig Harbor that are zoned MPC to aerial photos showing the extent of development on that land, “the Trailside Apartment development appears to be the last remaining undeveloped area within Canterwood,” said Rohila, the county public information specialist.

“We’re done with our development,” said Gary Parker, an attorney and board member of both Canterwood Development Company LLC and Canterwood Commercial LLC. “We’re winding them down,” he said of both companies.

“Canterwood Development Company doesn’t own any more land,” except for a small, unbuildable strip along Baker Way, Parker said. And on the fringes of Canterwood, there are no more suitably large, undeveloped parcels that could be added to the community, he said.

The sign at the main gate of the Canterwood gated neighborhood. Photo by Ted Kenney